TPO - Hàng năm, Việt Nam luôn có hàng chục cơn bão lớn nhỏ ghé thăm. Không nên lái xe trong những cơn bão như vậy; tuy nhiên, nếu bắt buộc, hãy lái xe đúng cách để tránh nguy hiểm nhiều nhất có thể.
TPO - Hoàn lưu bão số 6 gây mưa ở khu vực phía Đông Bắc Bộ vào đêm nay. Ngày mai vùng mưa sẽ mở rộng ra toàn bộ khu vực Bắc Bộ và Thanh Hóa với trọng tâm mưa lớn tập trung ở các khu vực Đông Bắc, Việt Bắc và Tây Bắc.
Với sức gió hơn 200kh/giờ, bão Mangkhut tấn công vào Hong Kong, Trung Quốc gây ra nhiều thiệt hại. Người bị thổi bay trong gió , các tòa cao ốc vị vỡ kính cùng ngập lụt ở khắp nơi và gần 100.000 du khách bị ảnh hưởng.
TPO - Hồi 13 giờ ngày 16/9, vị trí tâm bão ở vào khoảng 21,5 độ Vĩ Bắc; 113,5 độ Kinh Đông, trên vùng biển tỉnh Quảng Đông (Trung Quốc). Từ tối nay, ở vùng biển Bắc Vịnh Bắc Bộ (phía Bắc vĩ tuyến 20,0 độ Vĩ Bắc, phía Đông kinh tuyến 107,5 độ Kinh Đông) có mưa bão, gió mạnh dần lên cấp 6-7, đêm tăng lên cấp 8, giật cấp 10; sóng biển cao từ 3-4m.
Tại cuộc họp Văn phòng Thường trực Ban chỉ đạo Trung ương về phòng chống thiên tai diễn ra sáng nay (15/9) ở Hà Nội, các đại biểu cho rằng, ứng phó siêu bão Mangkhut đang hướng vào biển Đông các địa phương cần đặc biệt quan tâm vấn đề sơ tán dân những khu vực nguy hiểm và có phương án đảm bảo an toàn hạ du các hồ chứa khi có tình huống xấu xảy ra.
TP - Theo Ban chỉ đạo T.Ư về Phòng chống thiên tai, bão Mangkhut gây mưa lớn nhiều nơi ở miền Bắc và Bắc Trung bộ, trong bối cảnh hai khu vực này có nhiều hồ chứa thủy điện đang xả tràn. Đặc biệt, có gần 3.400 hồ chứa thủy lợi nhỏ đang đầy nước sau những đợt mưa vừa qua (Bắc bộ có 2.165 hồ và Bắc Trung bộ có 1.218 hồ chứa đã tích đầy nước).
TPO - Cục Hàng không Việt Nam vừa chỉ đạo các đơn vị trong ngành khẩn cấp ứng phó cơn bão số 5 và siêu bão Mangkhut, đặc biệt với các sân bay khu vực phía Bắc và các đường bay đang khai thác tại những sân bay này.
TPO - Theo Trung tâm Dự báo khí tượng thuỷ văn quốc gia, dự báo trong 12 giờ tới, bão số 5 di chuyển theo hướng Tây Tây Bắc, mỗi giờ đi được khoảng 15-20km, đi vào khu vực phía Bắc của vịnh Bắc Bộ và suy yếu dần thành áp thấp nhiệt đới.
TPO - Đêm qua (10/9), áp thấp nhiệt đới đã vượt qua khu vực phía Nam đảo Đài Loan và đi vào vùng biển Đông Bắc Biển Đông; sáng nay (11/9), áp thấp nhiệt đới đã mạnh lên thành bão - cơn bão số 5 (tên quốc tế là BARIJAT).
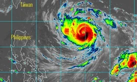
TPO - Hiện nay trên vùng biển phía Đông Nam Đài Loan (Trung Quốc) có một áp thấp nhiệt đới đang hoạt động. Bên cạnh đó, trên vùng biển Tây Bắc Thái Bình Dương xuất hiện cơn bão rất mạnh (tên quốc tế là MANGKHUT) có xu hướng di chuyển về phía Bắc Biển Đông trong 4-5 ngày tới.