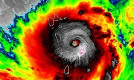
Bão Jasper hình thành ở Thái Bình Dương, dự báo có thể thành siêu bão và lập kỷ lục mới
TPO - Một cơn bão đã vừa hình thành ở Nam Thái Bình Dương, được đặt tên là bão Jasper. Các trung tâm khí tượng lớn cho rằng đây là cơn bão có khả năng phát triển và đường đi rất phức tạp, có thể sẽ thành siêu bão trong vài ngày tới.