Theo tìm hiểu của Tiền Phong, từ năm 2021 đến nay, Công ty Bảo Quân đã ký nhiều hợp đồng “Khế ước vay vốn” với người dân, kèm lời hứa sẽ bán đất giá ngoại giao cho họ khi dự án của công ty này được phê duyệt.
![]() |
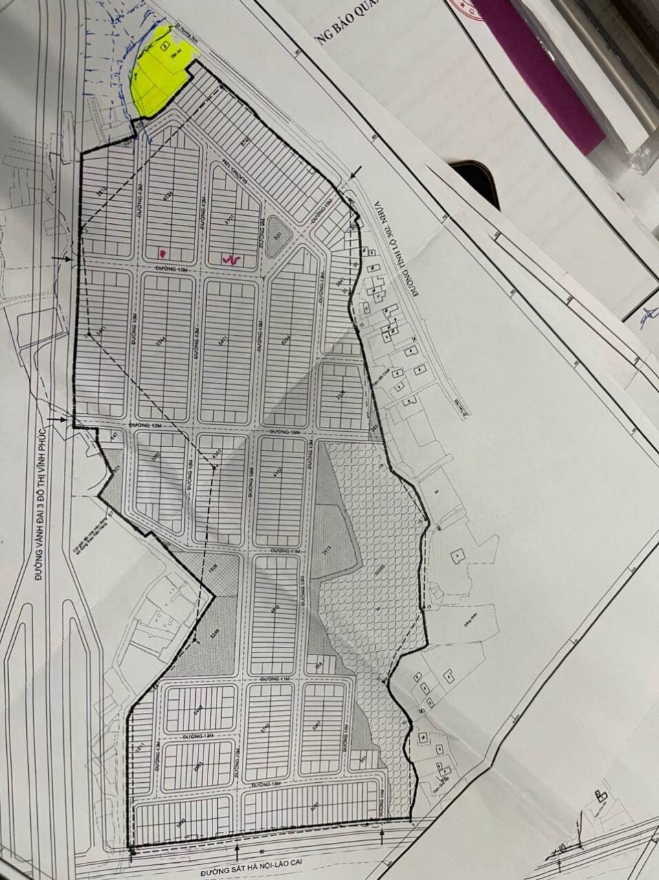
| Khu đất Công ty Bảo Quân hứa bán cho người dân. |
Điển hình, bà T, ở Vĩnh Phúc cho biết, Công ty Bảo Quân đã vẽ ra dự án từ một bãi đất trống (trạm trộn bê tông), đồng thời đưa ra bản vẽ thiết kế rất đẹp với đường rộng và giá "mềm" so với thị trường vào thời điểm góp vốn. Tuy nhiên, đã 2 năm kể từ tháng 3/2021 đến nay phía công ty vẫn chưa có bất kỳ hoạt động nào để triển khai dự án.
Mặt khác, trong hợp đồng có ghi rõ, nếu dự án không được phê duyệt thì công ty sẽ trả lại toàn bộ số tiền vốn và kèm theo lãi suất 8%/năm. Tuy nhiên đến nay, Công ty Bảo Quân chỉ hứa mà chưa hoàn trả lại số tiền cho người dân theo cam kết.
Trao đổi với Tiền Phong, ông Nguyễn Mạnh Hùng, Chủ tịch UBND huyện Bình Xuyên (Vĩnh Phúc) cho biết, đã nắm được việc Công ty Bảo Quân huy động vốn, và việc này UBND tỉnh và một số sở, ngành Vĩnh Phúc đã có văn bản thông báo tới Công ty Bảo Quân, người dân, nhà đầu tư…
![]() |
| Khế ước Công ty Bê tông Bảo Quân ký với người dân. |
“Ngoài việc huy động vốn trái phép, ông Hùng cũng cho biết, hiện Công ty Bảo Quân còn nợ bảo hiểm dẫn tới người lao động công ty này đình công và huyện phải đứng ra giải quyết”, ông Hùng nói.
Ở diễn biến khác, ông Lê Đức Thế, Trưởng phòng Quản lý nhà, phát triển đô thị và hạ tầng kỹ thuật (Sở Xây dựng Vĩnh Phúc) cho biết, “Công ty Bảo Quân không có bất cứ dự án nào đủ điều kiện huy động vốn, còn việc có huy động vốn hay không đó là thỏa thuận dân sự giữa công ty và người dân".
Được biết, đối với việc huy động vốn của Công ty Bê tông Bảo Quân đã bị Sở Xây dựng tỉnh Vĩnh Phúc yêu cầu dừng hoạt động này và tuân thủ đúng quy định của pháp luật. Nếu vi phạm, công ty sẽ bị xử lý theo quy định của pháp luật.
Ngoài ra, Sở Xây dựng tỉnh Vĩnh Phúc cũng yêu cầu Công ty Bảo Quân chứng minh việc họ không huy động vốn bằng cách bán lô đất hay đặt cọc giữ chỗ các lô đất ở; đồng thời công ty đã cam kết sẽ giải quyết vấn đề này với người dân bằng cách kiểm tra lại các thông tin về việc vay tiền của người dân và đối chiếu với hồ sơ tín dụng của công ty.
![]() |
| Bản vẽ về dự án Công ty Bảo Quân ký khế ước vay vốn người dân. |
Trong khi đó, ông Đỗ Trọng Hiếu đại diện cho Công ty Bảo Quân đã khẳng định, công ty không có bất kỳ hoạt động kinh doanh bất động sản nào và việc vay tiền từ người dân là một thỏa thuận giữa hai bên, công ty không ép buộc.
Vẫn theo ông này, việc công ty vay vốn của người dân là do tình hình khó khăn của doanh nghiệp trước đại dịch COVID-19 để có kinh phí đầu tư sản xuất kinh doanh. Công ty đã đồng ý trả lãi suất 8%/năm, cao hơn cả lãi suất của ngân hàng.
Nội dung ông Hiếu thông tin 'không khớp' với nội dung 'hứa bán đất giá ngoại giao' được thể hiện trong hợp đồng mà công ty này ký với người dân như đã nêu trên.


