Google News

KDI Holdings đầu tư 15 tỷ đồng tái sinh san hô tại Nha Trang

Mời tài trợ 100.000 USD, đầu tư gần 15 tỷ đồng, Tập đoàn KDI Holdings đang nỗ lực phục hồi rạn san hô tại vịnh biển Nha Trang góp phần bảo vệ môi trường.
Dự án phục hồi rạn san hô tại vịnh biển Nha Trang

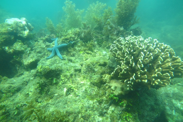
Nha Trang được thiên nhiên ưu đãi ban tặng cho một bờ vịnh tuyệt đẹp, hệ sinh thái quý hiếm, có bãi lặn rộng 36.000m2 quy tụ hơn 1.000 loại san hô rực rỡ. Rạn san hô ở vùng biển này không chỉ đa dạng về sinh học mà còn cung cấp hệ sinh thái quan trọng cho phát triển thủy sản và du lịch biển. Tuy nhiên, hiện nay do các nguyên nhân khách quan và gián tiếp, các rạn san hô đang bị suy thoái, khó phục hồi. Bởi vậy, từ năm 2015, chính quyền sở tại cùng giới khoa học đã nghiên cứu, tìm ra phương án tái tạo san hô để phục vụ du lịch sinh thái biển. Cơ duyên đã đưa Tập đoàn KDI Holdings đến với Nha Trang bằng một dự án đầu tư bất động sản du lịch phức hợp trải nghiệm văn hóa mang tên Vega City Nha Trang. Cùng với đó, lãnh đạo KDI Holdings đặc biệt quan tâm tới việc bảo vệ hệ sinh thái bằng những hành động thiết thực.

Năm 2019, Công ty Cổ phần Vạn San Đảo, thuộc Tập đoàn KDI Holdings được thành lập, hợp tác với Viện Hải dương học Nha Trang nhằm phục vụ việc phục hồi san hô ở Vịnh Nha Trang, góp phần chung tay bảo vệ nguồn sinh vật biển tự nhiên tại khu vực Bãi Tiên, khóm Đường Đệ, phường Vĩnh Hòa, thành phố Nha Trang.

KDI Holdings đã thành công trong việc mời tài trợ cho dự án tái sinh san hô tại khu vực Vịnh Nha Trang với khoản tài chính 100.000 USD. Riêng Công ty Vạn San Đảo dự kiến đầu tư gần 15 tỷ đồng vào dự án. Tổng Giám đốc Tập đoàn KDI Holdings Đỗ Tuấn Anh chia sẻ, Việt Nam được thiên nhiên ưu đãi rất lớn từ rừng núi đến biển xanh, đó là tài nguyên quý báu con cháu nhiều đời được tận hưởng. Những rạn san hô đẹp là một đặc ân của biển cả. Tuy nhiên, những nguy cơ khiến mối lo ngại về món quà trời phú đó một ngày không còn nữa hiện hữu rõ ràng. Dưới góc độ của nhà đầu tư, với sức lực của mình, KDI mong muốn góp phần vào nỗ lực bảo tồn môi trường chung.

Trên cơ sở nghiên cứu, thăm dò, các chuyên gia khoa học do KDI mời hợp tác đã lựa chọn khu vực triển khai việc nghiên cứu tái tạo san hô tại Bãi Tiên - một trong những nơi sở hữu những dải san hô đẹp nhất Vịnh Nha Trang, vùng biển hoang sơ, nhiều tiềm năng nhưng hệ sinh thái san hô đang bị suy giảm.

San hô khu vực Bãi Tiên được Tập đoàn KDI Holdings và Viện Hải dương học Nha Trang khảo sát vào cuối tháng 6-2019.

Kế hoạch về phương thức triển khai việc tái tạo đã được Vạn San Đảo phối hợp với Viện Hải dương học Nha Trang thực hiện tỉ mỉ từng chi tiết, nâng niu từng nhánh san hô bằng cả trái tim trân trọng biển cả. Khu vực phục hồi san hô giai đoạn đầu khoảng 2ha, trong đó bố trí các khu vực vườn ươm để tiến hành ươm nuôi các loại san hô có diện tích dự kiến khoảng 5.000 m2. Các cá thể san hô phát triển tốt từ vườn ươm sẽ được di chuyển ra phục hồi trên nền đáy tự nhiên có diện tích khoảng 15.000m2.

Ngoài phương án phục hồi rạn san hô, các chuyên gia cũng đã đưa ra giải pháp lắp đặt các rạn nhân tạo, tạo cảnh quan đa dạng trên nền đáy biển, thu hút thủy sinh vật tập trung với mật độ cao nhằm tái tạo, phục hồi hệ sinh thái biển. Đây là giải pháp đã được triển khai thành công tại Khánh Hòa, các tỉnh thành khác và trên thế giới.

Dự án cũng xây dựng các giải pháp nâng cao nhận thức, thu hút sự tham gia của cộng đồng vào công tác bảo vệ môi trường, tài nguyên biển và tạo thêm công ăn việc làm cho người dân trong khu vực.

KDI Holdings đầu tư 15 tỷ đồng tái sinh san hô tại Nha Trang ảnh 3Các chuyên gia sẽ thường xuyên kiểm tra sự tăng trưởng của các giá thể san hô được nuôi cấy

Các nhà điều hành Vạn San Đảo cam kết, vị trí khu vực thực hiện dự án không có dân cư sinh sống, trong quá trình lặn, thả giống, giá thể để nuôi cấy san hô chỉ có các nhân viên của công ty với số lượng 5 người, không xây dựng công trình kiên cố nên ảnh hưởng về không khí, nước thải, khí thải không đáng kể. Tiến sĩ Hoàng Xuân Bền - Phó Viện trưởng Viện Hải dương học Nha Trang chia sẻ: “Việc phục hồi san hô rất tốn kém, cần đòi hỏi thời gian dài, chứ không thể làm một sớm một chiều được, đặc biệt khi khu vực Bãi Tiên đã bị tàn phá, suy thoái”.

Vạn San Đảo cùng dự án phục hồi và tái sinh san hô nêu trên chính là cách mà người đứng đầu Tập đoàn KDI Holdings - Chủ tịch Kiều Hữu Dũng truyền tải thông điệp: “Không né tránh mà luôn chủ động tìm giải pháp tốt nhất cho môi trường ở mỗi vùng đất đặt dấu chân Tập đoàn KDI Holdings”.