Google News

Tìm kiếm máy bay MH370, phát hiện xác tàu đắm

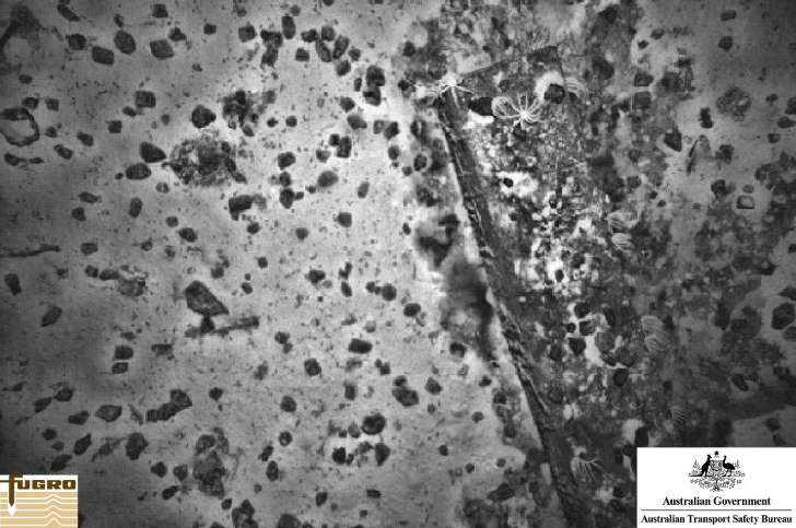
Mảnh vỡ một con tàu đắm dưới đáy biển.
Mảnh vỡ một con tàu đắm dưới đáy biển.
TPO - Chính phủ Australia ngày 13/5 cho biết, nhóm tìm kiếm máy bay MH370 đã phát hiện ra xác một con tàu cổ bị đắm tại một vùng biển phía tây Australia.

Theo Ủy ban An toàn Giao thông Australia (ATSB), đội tìm kiếm máy bay MH370 do Australia dẫn đầu đã phát hiện ra xác của con tàu khi sử dụng các thiết bị dò tìm bằng sóng âm để rà soát khu vực Ấn Độ Dương ở độ sâu gần 4km.


Tàu Fugro Equator trong đội tìm kiếm đã phát hiện dấu hiệu mảnh vỡ ở phía nam khu vực tìm kiếm. Ban đầu, họ nghi ngờ rằng các mảnh vỡ này không phải là từ chiếc Boeing 777 nói trên, song vẫn quyết định sẽ điều tra kỹ hơn. Họ đã tìm ra một số lượng lớn các mảnh vỡ nhỏ và một vài mảnh vỡ lớn, trong đó mảnh lớn nhất có chiều dài 6m cùng một mỏ neo.  

Các nhà điều tra đi đến kết luận, những mảnh vỡ này là của một chiếc tàu bị đắm từ lâu. Hiện các nhà khảo cổ học đang xem xét kỹ hình ảnh của chiếc mỏ neo để xem họ có thể tìm ra được danh tính của con tàu này hay không.

Theo các nhà điều tra, mặc dù các mảnh vỡ này không phải là từ chiếc Boeing 777 của hãng hàng không Malaysia Airlines, song điều này cho thấy các thiết bị dò tìm vẫn hoạt động tốt.

"Dù đây là một phát hiện khá lý thú nhưng không phải là điều mà chúng tôi đang tìm kiếm... Chúng tôi sẽ không dừng việc tìm kiếm MH370”, ông Peter Foley, người phụ trách chiến dịch tìm kiếm MH370 của ATSB nói.

Tính đến thời điểm này đã 14 tháng kể từ khi máy bay MH370 biến mất khi đang trong hành trình từ Kuala Lumpur đến Bắc Kinh. Khi đó, máy bay chở 239 hành khách và phi hành đoàn.